記事公開日
71.《クリ(栗》
】_image_1.jpg)
71.《クリ(栗)》
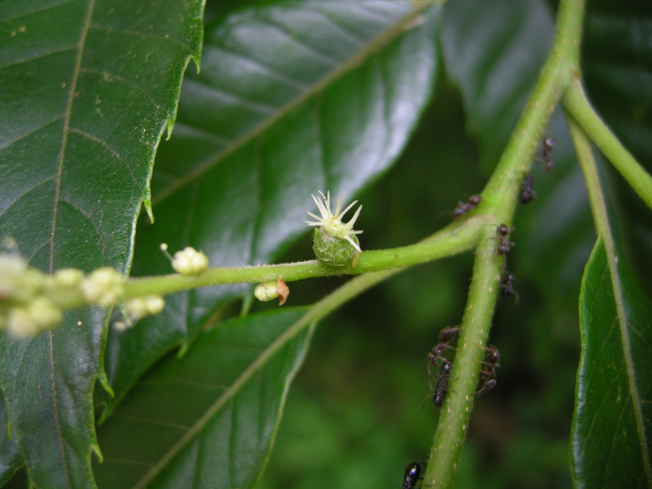
白いひも状の花をご存じの方は多いでしょう。むせるような匂いがします。「あの花がいつ毬になるのですか?」と聞かれることがあります。ひも状の花が毬になるのではありません。ひも状の花は雄花穂です。一部の雄花穂の付け根に雌花が咲きます。小さな毬の形をしています。コナラやクヌギのような早春に咲くブナ科の花は風に花粉を任せますので、匂いはありませんが、クリは風に加えて、昆虫にも花粉を運んでもらいます。強烈な匂いで虫を誘います。
ひも状の雄花穂は、花粉を放出したら役目を終えて落ちます。そのため、小さな毬が急に目立つことになり、前述のような疑問が生まれるものと思われます。
赤い丸い果実のようなものが着いていることがあります。これはクリタマバチによる虫こぶです。中で幼虫が育っていて木が弱りますので、取り除くことが得策です。
『栗の花霖雨(りんう))』『田植え半ばに栗の花』『栗の花盛りには雨天続く』など、古くから、栗の花は梅雨と縁の深い花とされています。
ちょっと足を止めて、雌花を探してみませんか。
廣畠眞知子氏(NPO法人千葉県森林インスタラクター会会員、元千葉都市緑化植物園緑の相談員)












